Le Domaine de Buttet, situé en rive sud du Lac du Bourget, est géré par le Conservatoire d’Espaces Naturels de Savoie. Après une première saison d’inventaire en 2015 ayant révélé 195 espèces de coléoptères, des recherches complémentaires sont effectuées en 2016.
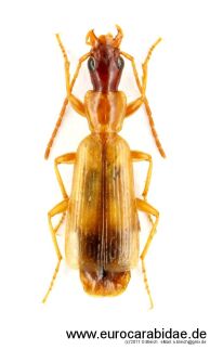
La première journée de terrain de 2016 a permis de découvrir 3 exemplaires du très rare Paradromius longiceps. Les autres carabes des phragmites actuellement relevés sur ce site sont : Paradromius linearis (Olivier, 1795), Odacantha melanura (Linnaeus, 1767) et Demetrias imperialis (Germar, 1824).
P. longiceps n’était connu de Rhône-Alpes que de Vulbens (Haute-Savoie) et du Marais de Lavours (Ain, Coulon 2014), localités auxquelles nous ajoutons la commune de Coise (cf. ci-dessous).
Données nouvelles pour Paradromius longiceps (Dejean, 1826) :
- Savoie, Le Bourget-du-Lac, Domaine de Buttet, le 09.IV.2016, battage de phragmites sèches, 3 adultes. B. Dodelin & R. Saurat leg.
- Savoie, Coise, 2015, 1 adulte photographié, A. Miquet leg.
Référence :
Coulon, J., 2014. Les Carabidés de la Réserve naturelle nationale du Marais de Lavours : une biocénose paludicole typique et malheureusement trop rare. Bulletin mensuel de la Société linnéenne de Lyon Hors-série n°3, 191–201.
